Svijet Poslije rasističkih reakcija na oglas, ruski lanac sušija izvinio se 'etničkim Rusima' 31.08.2021. | 09:32
Svijet Najvjerniji čovjekov prijatelj: Pas prešao više od 300 kilometara da se vrati svojim vlasnicima 30.08.2021. | 12:35
Svijet Kineska politička ideologija u školama: ‘Sijeve misli’ za buduće generacije 30.08.2021. | 08:58
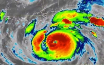
Svijet Stravično nevrijeme u Americi: Uragan Ida potopio obalu, vjetar od 240 kilometara na sat nosio sve pred sobom (VIDEO) 30.08.2021. | 08:43
Svijet Na Novom Zelandu prijavljen PRVI SMRTNI SLUČAJ povezan sa primanjem vakcine Fajzer 30.08.2021. | 08:31
Broj ubijenih na protestima u Nepalu porastao na 72, spasioci izvlače tijela iz rezidencija političara 14.09.2025. | 16:12
Slučaj iz Zadra: Osuđen Indijac koji je uhvatio 12-godišnjakinju za ruku i pokušao je poljubiti 14.09.2025. | 16:10
Ubio čovjeka zbog šamara: Hidajet Hankić nedavno izašao iz zatvora, odmah se vratio kriminalu, evo šta je sada uradio! 05.09.2025. | 13:25
Poslije rasističkih reakcija na oglas, ruski lanac sušija izvinio se 'etničkim Rusima' 31.08.2021. | 09:32